
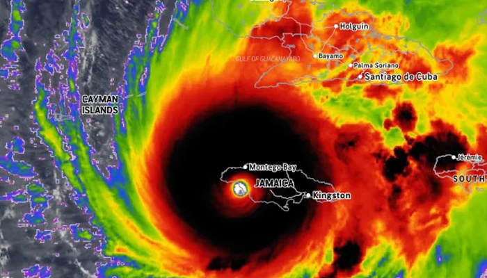
ക്യൂബൻ തീരം തൊട്ട് ജമൈക്കയുടെ ഭൂരിഭാഗം പ്രദേശങ്ങളെയും കവർന്നെടുത്ത ‘മെലീസ’ ചുഴലിക്കാറ്റിന്റെ വ്യാപ്തി എത്ര ഭീകരമാണെന്ന് വ്യക്തമാക്കുന്ന സാറ്റലൈറ്റ് ദൃശ്യങ്ങൾ പുറത്ത്. ജമൈക്കയുടെ തെക്കുപടിഞ്ഞാറൻ തീരത്ത് വ്യാപകമായ വെള്ളപ്പൊക്കവും നാശനഷ്ടങ്ങളും ഉണ്ടായതായി ഈ ദൃശ്യങ്ങൾ സൂചിപ്പിക്കുന്നു. കൊടുങ്കാറ്റിൽ ഏറ്റവും കൂടുതൽ ദുരിതമനുഭവിക്കേണ്ടി വന്നത് തീരദേശവാസികളാണ്. മത്സ്യബന്ധന ഗ്രാമങ്ങളെയടക്കം ചുഴലിക്കാറ്റ് ഏതാണ്ട് നിലംപരിശാക്കി.
ജമൈക്കയുടെ പ്രധാന നഗര കേന്ദ്രങ്ങൾ ചെളിമൂടിയ നിലയിലാണ്. രണ്ടു നൂറ്റാണ്ടിനിടെ ജമൈക്കയിൽ വീശിയ ഏറ്റവും ശക്തമായ കൊടുങ്കാറ്റാണ് മെലിസ. കൊടുങ്കാറ്റിൻ്റെ ആഘാതത്തിൽ ജമൈക്കയിലെ താഴ്ന്ന പ്രദേശങ്ങളിലെ കൃഷിയിടങ്ങൾ ഭൂരിഭാഗവും വെള്ളത്തിനടിയിലായി. ക്യൂബയിൽ തെക്കുപടിഞ്ഞാറൻ, വടക്കുപടിഞ്ഞാറൻ പ്രദേശങ്ങളിലാണ് കൂടുതൽ നാശനഷ്ടങ്ങൾ റിപ്പോർട്ട് ചെയ്തിരിക്കുന്നത്. അവിടെ നൂറുകണക്കിന് വീടുകൾ തകർന്നു. ഗതാഗതം പൂർണമായും നിലച്ച ക്യൂബയിൽ ഏഴര ലക്ഷത്തോളം പേരെയാണ് സുരക്ഷിത സ്ഥാനങ്ങളിലേക്ക് മാറ്റിപ്പാർപ്പിച്ചത്. നിലവിൽ കാറ്റഗറി രണ്ടിൽ ഉൾപ്പെടുന്ന മെലിസ ബെർമുഡ ദ്വീപിലേക്ക് നീങ്ങിത്തുടങ്ങിയിട്ടുണ്ട്.
ഇവിടെ പോസ്റ്റു ചെയ്യുന്ന അഭിപ്രായങ്ങള് ജനയുഗം പബ്ലിക്കേഷന്റേതല്ല. അഭിപ്രായങ്ങളുടെ പൂര്ണ ഉത്തരവാദിത്തം പോസ്റ്റ് ചെയ്ത വ്യക്തിക്കായിരിക്കും. കേന്ദ്ര സര്ക്കാരിന്റെ ഐടി നയപ്രകാരം വ്യക്തി, സമുദായം, മതം, രാജ്യം എന്നിവയ്ക്കെതിരായി അധിക്ഷേപങ്ങളും അശ്ലീല പദപ്രയോഗങ്ങളും നടത്തുന്നത് ശിക്ഷാര്ഹമായ കുറ്റമാണ്. ഇത്തരം അഭിപ്രായ പ്രകടനത്തിന് ഐടി നയപ്രകാരം നിയമനടപടി കൈക്കൊള്ളുന്നതാണ്.